往完町売地(更地渡し)

1,250万円

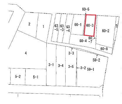
愛知県豊橋市往完町字往還東60-3

東海道本線「豊橋」駅徒歩15分

豊橋鉄道東田本線「駅前大通」駅徒歩21分

価格
1,250万円
土地面積(坪数)
95.47㎡(28.87坪)
所在地
愛知県豊橋市往完町字往還東60-3
築年
-(-)
駐車
-
交通

東海道本線豊橋」駅 徒歩15分

豊橋鉄道東田本線駅前大通」駅 徒歩21分

往完町売地(更地渡し)の基本情報

物件名
往完町売地(更地渡し)
価格
1,250万円
土地面積
95.47㎡
築年月
-(-)
総区画数
-
所在地
愛知県豊橋市往完町字往還東60-3
交通

東海道本線豊橋」駅 徒歩15分

豊橋鉄道東田本線駅前大通」駅 徒歩21分

往完町売地(更地渡し)の詳細情報

設備条件
設備(その他)
    -
駐車場/月額
-/-
土地権利
所有権
国土法届出
不要
用途地域
第一種住居
区画数
- / -
管理形態
-
管理員の勤務形態
-
管理会社
-
取引態様
仲介
引渡し
相談
開発許可番号
-

往完町売地(更地渡し)で募集中の物件

  1. 28.87坪 (95.47㎡)

    1,250万円(43.3万円/坪)

近隣の物件

  1. 豊橋市三ノ輪町4丁目

    - (363.38㎡)

    2,200万円

  2. 豊橋市花田町字西郷

    - (165.32㎡)

    1,350万円

  3. 豊橋市若松町字豊美

    - (1268.55㎡)

    4,500万円

  4. 豊橋市神野新田町字キノ割

    - (495.00㎡)

    600万円

よく見られている物件

  1. 東海市名和町東三宅山

    - (304.00㎡)

    3,400万円

  2. 碧南市鴻島町5丁目

    - (1284.45㎡)

    1,950万円

  3. 春日井市牛山町

    - (227.48㎡)

    698万円

  4. 春日井市中央台6丁目

    - (146.89㎡)

    1,398万円

往完町売地(更地渡し)

お気軽にお問い合わせください

無料お問い合わせ

名城設備株式会社 不動産事業部

070-1434-2404

9:00~18:00

(休:不定休・年末年始)